新築一戸建
田園都市線 溝の口
田園都市線 溝の口駅 徒歩 7分 この駅が最寄り駅の物件一覧を見る
東急大井町線 溝の口駅 徒歩 7分
溝の口駅徒歩7分と好立地 南東角地で日当たり良好 周辺に生活至便施設が多く便利 リビング階段でつながる住まい

| 学区 |
久本小学校 →この学区の物件一覧を見る 高津中学校 →この学区の物件一覧を見る |
|---|---|
| 用途地域 | 第一種中高層住居専用地域 |
| 地目 | 宅地 |
| 建ぺい率 | 60% |
| 容積率 | 160% |
| 駐車場 | 有り カースペース |
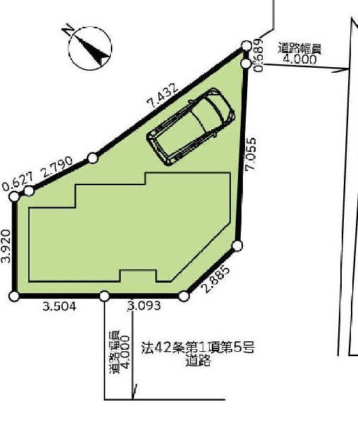
| 接道 | 南東4m、南西4m |
| 権利 | 所有権 |
| 私道面積 | 無し |
|---|---|
| セットバック | 無し |
| 建物構造 | 木造 |
| 建物階数 | 3階 |
| 築年月 | 2025/09 |
| 入居日 | 即時 |
| 建築確認番号 | 第KBI-YKH24-10-3824号 |
| 都市計画 | 市街化区域 |
| 取引態様 | 仲介 |
| 物件番号 | A1590 |
|---|---|
| 設備 | 都市ガス、公営水道、下水、省エネルギー対策、駐車場1台、閑静な住宅地、角地、都市近郊、地盤調査済、南側道路面す、市街地が近い、周辺交通量少なめ、スーパーが近い(10分以内)、2沿線以上利用可、保育施設・幼稚園5分以内、公園5分以内、コンビニ5分以内、シューズインクローク、ウォークインクローゼット、対面キッチン、都市ガス、システムキッチン、ガス3口、対面キッチン、L型キッチン、食器洗浄機、浄水器、ユニットバス、追い焚き、浴室乾燥機、ウォシュレット、オートバス付き、トイレ2ヶ所、浴室1坪以上、浴室に窓、高機能トイレ、暖房便座、浴室暖房、バルコニー、バルコニー2面、南面バルコニー、3階建以上、LDK15畳以上、省エネ給湯器、採光3面、南向き、全室2面採光、フローリング、全室フローリング、リビング階段、スマートキー、クローゼット、ウォークインクローゼット、収納、床下収納、下駄箱、全居室収納、洗面室収納、シューズインクローク、シャンプドレッサー付き、モニタ付きインターフォン、ペアガラス、火災警報器、全居室複層ガラスか複層サッシ、セキュリティ充実、通風良好、陽当り良好、24時間換気システム、建物10年保証 |
| 特記事項 | 不整形地:有/景観法:有/宅地造成工事規制区域:有/急傾斜地崩壊危険区域:有/高度地区:有/準防火地域:有/日影制限:有/高さ限度:有/私道持分1/14有。 / |
| 備考 | 溝の口駅徒歩7分と好立地 南東角地で日当たり良好 周辺に生活至便施設が多く便利 リビング階段でつながる住まい |