条件付土地
南武線 武蔵新城
南武線 武蔵新城駅 バス停「 上野川」まで バス利用 15分 徒歩 2分 この駅が最寄り駅の物件一覧を見る
田園都市線 梶が谷駅 バス停「 上野川」まで バス利用 14分 徒歩 4分
梶が谷駅 公園や暮らしに便利な商業施設が充実した好立地 前面道路が広く開放感あふれる住環境 全2区画

| 学区 |
野川小学校 →この学区の物件一覧を見る 野川中学校 →この学区の物件一覧を見る |
|---|---|
| 現況 | 古家有 |
| 引渡し日 | 相談 |
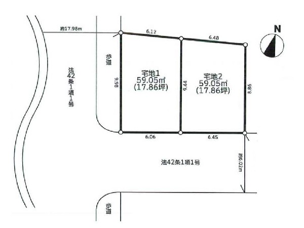
| 区画数 | 2 |
| 都市計画 | 市街化区域 |
| 権利 | 所有権 |
| 取引態様 | 仲介 |
| 用途地域 | 準住居地域 |
|---|---|
| 地目 | 宅地 |
| 建ぺい率 | 60% |
| 容積率 | 200% |
| 建築可能面積 | 118m² |
| 接道 | 南東6m、南西17.9m |
| 私道面積 | 無し |
| セットバック | 無し |
| 物件番号 | A2374-1 |
|---|---|
| 特記事項 | 景観法:有/宅地造成工事規制区域:有/高度地区:有/準防火地域:有/日影制限:有/高さ限度:有。 建築条件:付き/現状古家有、引き渡し時更地。 |
| 備考 | 梶が谷駅 公園や暮らしに便利な商業施設が充実した好立地 前面道路が広く開放感あふれる住環境 全2区画 |