新築一戸建
南武線 矢野口
南武線 矢野口駅 徒歩 15分 この駅が最寄り駅の物件一覧を見る
南武線 稲城長沼駅 徒歩 18分
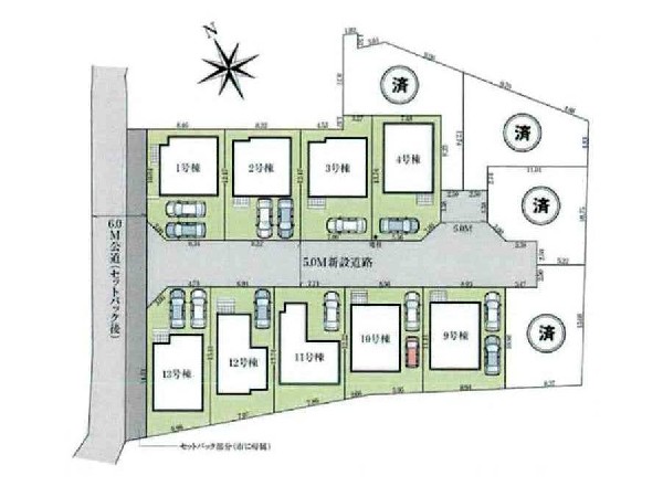
稲城長沼駅・矢野口駅徒歩圏 全13棟の大型開発分譲地 南西向きで日当たり良好 太陽光パネル搭載

| 学区 |
稲城市立稲城第四小学校 →この学区の物件一覧を見る I稲城市立稲城第四中学校 →この学区の物件一覧を見る |
|---|---|
| 用途地域 | 第一種低層住居専用地域 |
| 地目 | 宅地 |
| 建ぺい率 | 40% |
| 容積率 | 80% |
| 駐車場 | 有り カースペース |
| 接道 | 北東5m |
| 権利 | 所有権 |
| 私道面積 | 有り 249.28m² 1/13 |
|---|---|
| セットバック | 無し |
| 建物構造 | 木造 |
| 建物階数 | 2階 |
| 築年月 | 2026/04 |
| 入居日 | 2026/05 |
| 建築確認番号 | TKK確済25-713号 |
| 都市計画 | 市街化区域 |
| 取引態様 | 仲介 |
| 物件番号 | A2381-12 |
|---|---|
| 設備 | 都市ガス、公営水道、下水、駐車場1台、閑静な住宅地、平坦地、都市近郊、開発分譲地内、地盤調査済、市街地が近い、周辺交通量少なめ、駅まで平坦、小学校徒歩10分以内、中学校徒歩10分以内、公園5分以内、対面キッチン、都市ガス、システムキッチン、対面キッチン、浄水器、ユニットバス、追い焚き、浴室乾燥機、ウォシュレット、トイレ2ヶ所、浴室1坪以上、浴室に窓、暖房便座、バルコニー、テラス、南面バルコニー、2階建、LDK15畳以上、太陽光発電システム、全室2面採光、南西向き、クローゼット、収納、床下収納、下駄箱、全居室収納、シャンプドレッサー付き、モニタ付きインターフォン、ペアガラス、火災警報器、通風良好、陽当り良好、24時間換気システム、建物10年保証 |
| 特記事項 | 景観法:有/高度地区:有/日影制限:有/高さ限度:有/建築基準法第22条区域。 / |
| 備考 | 稲城長沼駅・矢野口駅徒歩圏 全13棟の大型開発分譲地 南西向きで日当たり良好 太陽光パネル搭載 |