条件無土地
田園都市線 江田
田園都市線 江田駅 徒歩 13分 この駅が最寄り駅の物件一覧を見る
田園都市線 市が尾駅 徒歩 16分
「江田」駅徒歩13分 低層住宅が並ぶ閑静な住宅地 建築条件はありませんのでお好きなメーカーで建築できます

| 学区 |
荏田西小学校 →この学区の物件一覧を見る 市ケ尾中学校 →この学区の物件一覧を見る |
|---|---|
| 現況 | 更地 |
| 引渡し日 | 相談 |
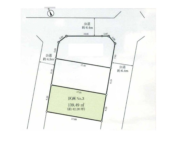
| 区画数 | 3 |
| 都市計画 | 市街化区域 |
| 権利 | 所有権 |
| 取引態様 | 仲介 |
| 用途地域 | 第一種低層住居専用地域 |
|---|---|
| 地目 | 宅地 |
| 建ぺい率 | 40% |
| 容積率 | 80% |
| 建築可能面積 | 111m² |
| 接道 | 南東6.4m、北西4.5m |
| 私道面積 | 無し |
| セットバック | 無し |
| 物件番号 | A1857-3 |
|---|---|
| 特記事項 | 壁面後退:有/宅地造成工事規制区域:有/高度地区:有/日影制限:有/敷地面積最低限度:有/高さ限度:有/緑化地域 建築基準法第22条による区域。 建築条件:なし/ |
| 備考 | 「江田」駅徒歩13分 低層住宅が並ぶ閑静な住宅地 建築条件はありませんのでお好きなメーカーで建築できます |